조황관리HOME / 조황관리 / 상세정보

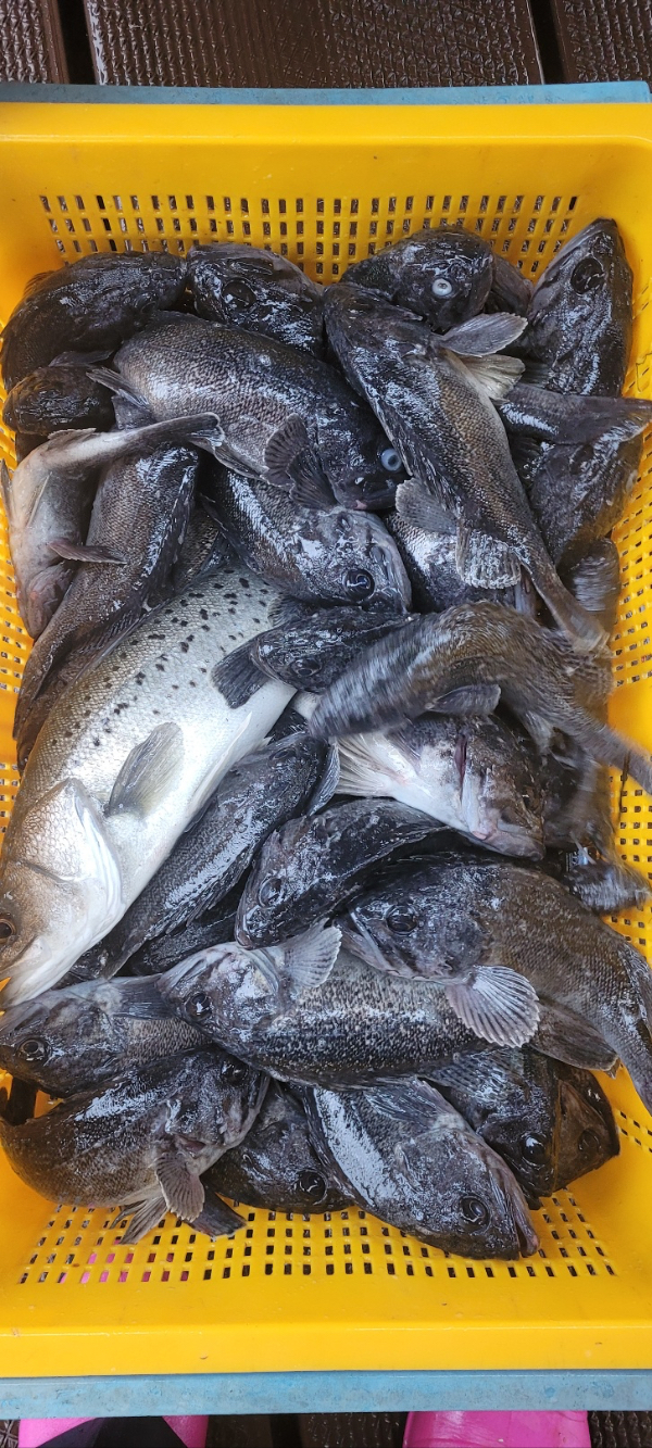
제목 : 4월 10일~12일 조황입니다~^^
등록일 : 2025-04-13



안녕하세요~!

 
요 며칠 바빠서
(일하시는 이모님이 안 계셔서..)
그 많은 물고기를 두고
조황 사진을 찍지 못하고ㅠㅠ
아침부터 마칠 때까지 
손질하느라
수심,미끼 추천을 드릴 수 없습니다
죄송합니다
다시 열심히 지켜보겠습니다!!!




수고 많으셨습니다~~^^


IMG_1110.jpeg


IMG_1100.jpeg


IMG_1111.jpeg


IMG_1083.jpeg


IMG_1099.jpeg


IMG_1082.jpeg


IMG_1081.jpeg


IMG_1080.jpeg


IMG_1030.jpeg


IMG_1039.jpeg


IMG_1024.jpeg


IMG_1017.jpeg


IMG_1010.jpeg


IMG_1005.jpeg


IMG_1108.jpeg


IMG_0914.jpeg


IMG_0913.jpeg


IMG_0824.jpeg


IMG_1066.jpeg
 


==== 도비도 낚시타운 예약안내 ====

예약문의 : 

 - 010-5550-7693

 - 010-5788-3331

오시는길 : 충남 당진군 석문면 난지도리 559번지

홈페이지 : http://fishingtown.sunsang24.com/
배시간 : 7시 30분 
휴    일 : 2째주 4째주 수요일 휴무 
 

Top